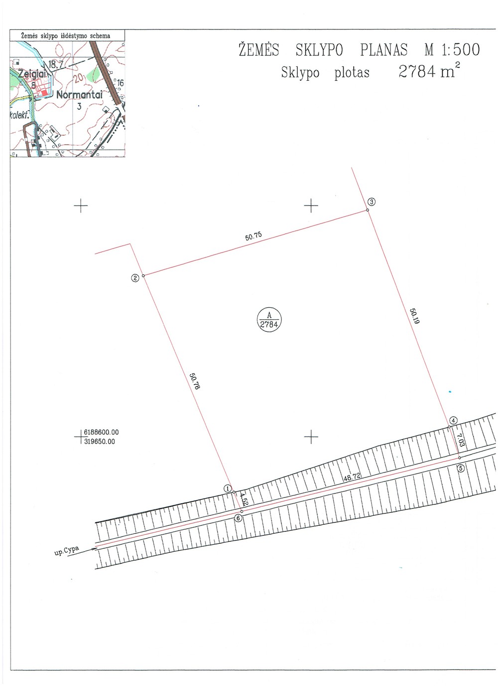
Klaipėdos r., Zeigiuose, Parko g.7 Prie Cypos upelio parduodamas 27,84 aro, gyvenamosios paskirties žemės sklypas. Įvesta elektra. Sklypas, Pajūrio regioniniame parke, kur graži, ekologiška aplinka, švarus oras, šalia miškas, netoliese Kalotės ežeras, Karklė ir Jūra. Kaimynystėje, Normantų km. įsikūręs gyvenamųjų namų 'Romų' kvartalas. Pašonėje yra įrenginėjamas aktyvaus poilsio parkas, kur vaikų žaidimo aikštelės, suoliukai pušų pauksmėje ir planuojami įvairūs sportinių atrakcijonų kompleksai. Čia visada ramu, gaivus ir tyras oras, jokių pramonės įmonių ir objektų. Pagal Klaipėdos rajono bendraji planą už Europos sąjungos lėšas įrengtas geras susisiekimas su Karkle ir Klaipėda. Išasfaltuotos: Parko, Adomo Brako ir Zeigių gatvės. Iki Klaipėdos centro galima nuvykti per 15 - 20 min. 'Ranka pasiekiami', Baltijos jūros paplūdimiai, Karklėje, tik ~ 4 km. Iki Kalotės ežero, šiek tiek daugiau negu 1 km. Palanga ~18 km. Į Klaipėda važiuoja (Nr.15B) maršrutinis autobusas. Kaina – 58.000 € Skelbimo ID 414449 NT REGISTRO CENTRO IŠRAŠO DUOMENYS: Sklypo adresas: Klaipėdos r. sav. Zeigių k. Parko g.7 Pagrindinė naudojimo paskirtis: Kita; Naudojimo būdas: Gyvenamosios teritorijos; Naudojimo būdas: Mažaaukščių gyvenamųjų namų statybos; Kadasrtinė vietovė: Girkalių k.v. Bendras plotas: 0.2784 ha; Užstatyta teritorija: ~ 0.2503 ha; Vandens telkinių plotas: ~ 0.0281 ha; Žemės ūkio naudmenų našumo balas: 37.2 Sklype įrengtos valstybei prikausančios melioracijos sistemos bei įrenginiaia; Matavimų tipas: Žemės sklypas suformuotas atliekant kadastrinius matavimus; Vandens telkinių apsugos juostos ir zonos; Valstybinių (nacionalinių ir regioninių) parkų apsaugos zonos 0.2784 ha; Kurortų apsaugos zonos 0.2784 ha; Aukštingumas - 8.5 m; Užstatymo tankis - 0.06; Intensivumas - 0.18 KOMUNIKACIJOS: Elektra sklype YRA; Dujos – gamtinės dujos praeina Parko g. šalia kvartalo; Vandentiekis: Centralizuoti tinklai šalia kvartalo; Nuotekos: Centralizuoti tinklai šalia kvartalo; Lietaus kanalizacija: Pagal detaluji projektą.; Grunto statybinis kelias; ATSTUMAI: ~4 km iki jūros; ~10 km iki Klaipėdos centro; ~ 1 km iki Kalotės ežero; ~ 18 km iki Palangos; ~ 7 km Iki PC “Rimi”; Artimiausios gyv. Kalotė ~ 1 km; Normantai ~ 1.5 km; Kunkiai ~ 2.5 km; Karklė ~ 3.5 km PRIVAŽIAVIMAS: Privažiavimas – Nuo Klaipėdos Medelyno gatve Paribio, Spalvų, Adomo Brako bei Parko gatvėmis per senają Kalotės ir Zeigių gyvenvietes. Autobuso Nr.15B sustojimas Netinka šis sklypas? Turiu daugiau pasiūlymų: Zeigių, Kunkių, Grabių, Dargužių, Gindulių, Mazūriškių, Klipščių, Tauralaukio, Kalotės, Svencelės, Drevernos, Priekulės, Palangos, Kretingos, Gargždų, Šilutės, Rusnės vietovėse. Žemės ūkio, namų valdos, reakreacinės, komercinės, sodybai skirtų sklypų. Parašykite kokio sklypo ieškote, aš Jums atsiųsiu daugiau konkrečių pasiūlymų.
Skelbimo ID: |
1339399 |
Savivaldybė: |
Klaipėdos r. sav. |
Adresas: |
Parko g., Zeigiai |
Sklypo plotas: |
27.84 a. |
Sklypo paskirtis: |
Namo statybai |
Komunikacijos: |
Nėra |
Vlada Simonaitienė, |
Sklypas, Parko g., Zeigiai
27.34 a. | Namo statybai
58 000 €Skelbimo ID: 1339400







